* 산림청 > 산림보호 > 병해충> 대벌레
| 대벌레 | |
| 학명 | Baculum elongatum (Thunberg) |
| 학명(영명) | Japanese Walking-Stick |
| 목명 / 과명 | 대벌레목 / 대벌레과 |
| 분포 | 한국, 일본 |
| 가해수종 | 포도, 밤나무, 사과나무, 배나무, 감나무, 호두나무, 참나무류, 아까시나무, 대추, 살구, 복사나무, 느티나무, 생강나무, 벚나무류, 산돌배 등의 활엽수 |
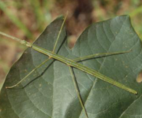
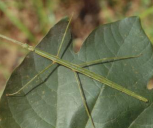
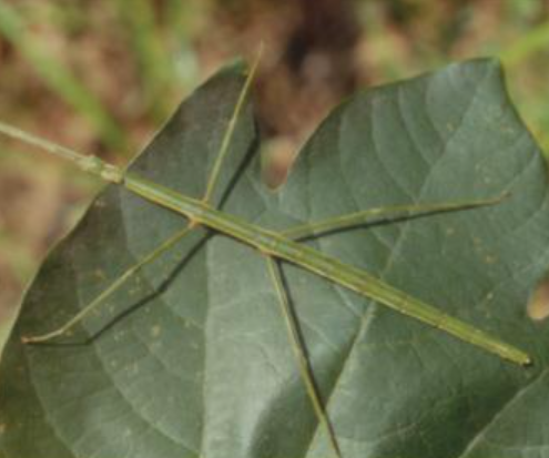
| 형태 | 대나무처럼 생겨서 대벌레라 불려진다. 녹색 띠며, 서식처나 기주에 따라 흑갈색, 황녹색, 담갈색을 띠기도 한다. 수컷은 몸체가 가늘고 몸의 색은 담녹색이며 가슴 등쪽에 붉은 띠가 있다. 알은 장경이 3mm , 단경은 2mm 의 연한 흑갈색을 띤다. |
| 피해 | 산림이나 과수 해충으로 대발생한다. 대발생시 약충과 성충이 집단으로 대이동하며 잎을 먹어치운다. 피해를 받으면 나무가 고사하기도 하며, 미관상 보기는 흉하다. |
| 생태 | 연 1회 발생. 알로 월동. 3월 하순∼4월에 부화. 약충은 5~6회 탈피한 후 6월 중하순에 성충이 되어 11월 중순까지 생존한다. 우화 10일 후부터 산란을 하여 3개월까지 산란하며 산란시 머리를 위쪽으로 정지하고 있는 것처럼 보인다. 하루 산란하는 수는 약15개 정도이며 1마리가 600∼700개의 알을 낳는다. 천적을 만나거나 사람 손이 닿으면 나무에서 떨어져 죽은 것처럼 늘어지는 행동을 보인다. 암컷은 몸이 무거워 활발하지 못하다. |
| 방제법 | 화학적 방제 - 어린 약충기인 4월에 페니트로티온 유제(50%) 1,000배액을 수관살포 한다. 생물적 방제 - 알과 어린 약충을 포식하는 포식성 천적 (풀잠자리류, 무당벌레류, 사마귀류, 풀색딱정벌레, 검정명주딱정벌레, 침노린재)을 보호한다. 물리적 방제 - 정원수나 관상수에 눈에 띠면 즉시 잡아 죽인다. |

