조록나무
학명:Distylium racemosum Siebold & Zucc.












개요
보통은 덤불처럼 자라지만 높이 16m, 지름 80cm 정도까지 자란다.
나무껍질은 짙은 녹색이고 처음에는 매끈하나 점차 거칠어지면서 벗겨진다.
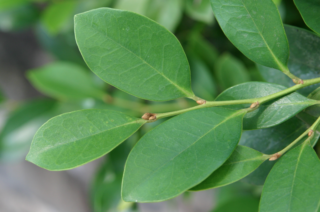
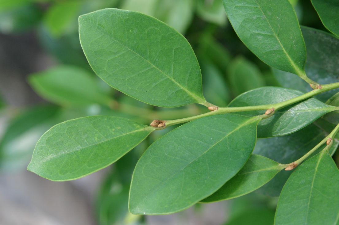
잎은 어긋나며, 도란형 또는 타원형으로 길이 3~8cm, 폭 1.2~4cm, 가장자리가 밋밋하며 양면에 털이 없다. 잎맥 위에 별 모양 털이 있으나 곧 없어진다.
꽃은 4~5월에 암수한그루 또는 암수딴그루에 피며, 잎겨드랑이에서 총상꽃차례로 달린다.
꽃받침잎은 5장, 피침형으로 겉에는 갈색인 별 모양 털이 있다. 꽃잎은 없다.
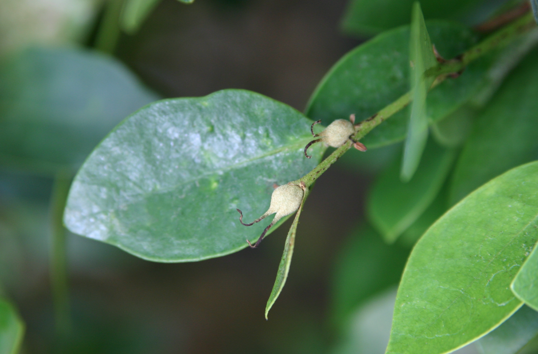
열매는 삭과, 난형, 10월에 여물면 2갈래로 갈라진다.
공공저작물 자유이용허락 표시(공공누리, KOGL)
출처> https://species.nibr.go.kr/