밤나무
학명:Castanea crenata Siebold & Zucc.







개요
낙엽활엽 큰키나무로 줄기는 높이 30m에 이른다.
잎은 어긋나며, 타원형 또는 타원상 피침형으로 길이 10-20cm, 너비 3-5cm이다.
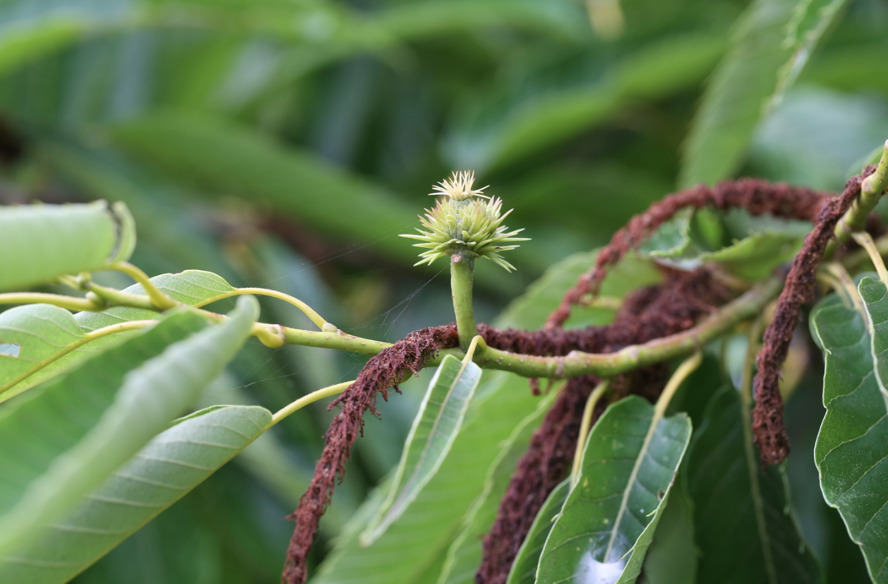
꽃은 5-6월에 암수한그루로 핀다. 수꽃은 새 가지에서 길이 10-15cm의 꽃차례에 달린다. 암꽃은 수꽃의 아래쪽에 3개씩 모여 달린다. 열매는 가시처럼 생긴 껍질로 완전히 감싸여 있다가 껍질이 벌어지면서 드러난다.
열매를 식용 및 약용하고, 꽃은 약용 또는 염료로 이용한다. 한국, 일본, 중국 동북부에 분포한다.
공공저작물 자유이용허락 표시(공공누리, KOGL)
출처> https://species.nibr.go.kr/