* 산림청 > 산림보호 > 병해충> 복숭아혹진딧물
| 복숭아혹진딧물 | |
| 학명 | Myzus persicae (Sulzer) |
| 학명(영명) | Green Peach Aphid |
| 목명/과명 | 노린재목 / |
| 분포 | 한국, 일본, 대만, 중국, 유럽, 북아메리카, 아프리카, 뉴질랜드, 인도 |
| 가해수종 | 벚나무류, 복사나무, 매화나무, 돈나무, 장미, 찔레, 해당화, 매실나무, 사과나무, 배나무, 초피나무, 귤, 사철나무, 감나무, 고욤나무, 구기자, 흰말채나무, 참오동나무 등 |
| 형태 | 무시태생 암컷 성충의 몸길이는 1.5mm 내외이고 연한 녹색 내지는 짙은 녹색을 띠나 가끔 적갈색 개체도 나타난다. 유시태생 성충의 머리, 가슴은 검은색, 배는 담황색으로 등면에 연한 검은색의 무늬가 있다. |
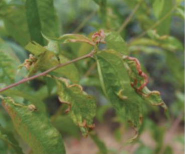
| 피해 | 가해수종의 잎 뒷면에 모여 살면서 흡즙 가해한다. 피해를 받은 잎은 시들면서 세로 방향으로 말리면서 갈색으로 변한다. 대발생하면 새가지의 생장이 저해되고 수세가 약화되며 수년 계속 피해를 보면 고사하기도 한다. 이식한 벚나무에서 많이 발생하며 이식목이 고사하기도 한다. |
| 생태 | 연 수회 발생하며 가해수종의 새순 기부에서 알로 월동한다. 3월 하순~4월 상순에 부화한 약충은 새가지로 이동하여 성장하며 무시태생 성충으로 번식한다. 10월 중순경에 유시태생 암컷 성충과 유시 수컷 성충이 출현하여 양성 암컷을 낳는다. 양성 암컷 성충은 1월 상순경에 유시 수컷 성충과 교미한 후에 나뭇가지에 5~8개의 알을 낳는다. |
| 방제법 | 화학적 방제 - 4월 상순에 메티다티온 유제(40%) 또는 이미다클로프리드 액상수화제(8%), 수화제(10%) 1,000배액을 10일 간격으로 2회 살포한다. - 1화기 발생 초기인 5월 초순에 이미다클로프리드 분산성액제(20%)를 흉고직경 ㎝당 0.3㎖씩 나무주사한다. 생물적 방제 - 포식성 천적인 무당벌레류, 거미류, 풀잠자리류 등을 보호한다. 물리적 방제 - 발생 초기인 4월 상순에 피해 잎을 채취하여 소각한다. |

